2022 04 02 Cousteau-Reserve: Die Ilets des Pigeon, ein Taucher-Paradies

Tauchrevier: Einmal rechts rum um die große Insel...

Michèle berichtet!

So! Jetzt noch etwas abwarten und dann wollen wir aber endlich los und das Cousteau-Reservat erforschen. Ich will zur Insel rudern, um die restliche Energie zu sparen, aber Chrischan meint, dass es noch für hin und zurück reichen sollte. Und dann will er endlich einen ernsthaften Versuch starten, um die Batterie auch ohne Ladegerät zu laden.

Zu diesem Reservat haben wir gegenteilige Meinungen gehört – die aktuelleren allerdings berichten von einem super Schnorchel-/Tauchgebiet. Unser schlaues Karibik-Reiseführer-Buch schreibt, dass die gelben Bojen als Mooringe für Freizeityachten genutzt werden können, die anderen für die professionellen Boote. Ich beschließe, dass wir jetzt, wo unser Anker endlich trägt und wir einen ordentlichen Platz haben, mit dem Beiboot rüber fahren und nicht mit unserer Re. Sollte das nämlich doch nicht erlaubt sein, dann müssen wir wieder zurück, vielleicht ist der Platz mittlerweile belegt und der Anker trägt erneut nicht etc. pepe. Und, was soll ich sagen, ich wusste nicht, dass unser Dinghy in die Kategorie „Yacht“ einzuordnen ist!! Die gelben Tonnen sind tatsächlich nur für Beiboote geeignet, aber niemals kann dort eine Yacht anlegen! Also gute Entscheidung!

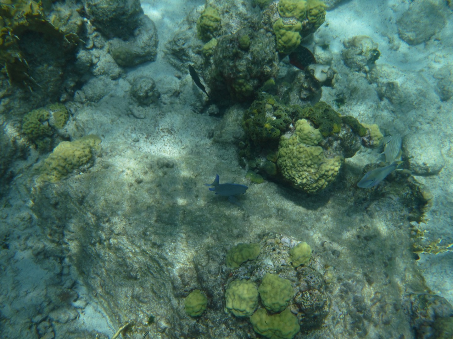
Und rein ins Vergnügen! Ganz, ganz klares Wasser! Sowas habe ich bis jetzt noch nirgendwo gesehen. Zwischen den Inseln beträgt die Wassertiefe manchmal maximal einen Meter und die Fische schwimmen trotzdem unter einem durch. Sie lassen die Taucher und Schnorchler bis auf Armlänge an sich herankommen. Man sieht sie so nahe und klar wie sonst nur im Heimaquarium (die anderen Aquarien sind wieder zu groß, als dass man die Fische aus allernächster Nähe beobachten könnte – das soll aber jetzt kein Plädoyer für ein Heimaquarium sein!). Und die Tiere flüchten auch nicht, sie haben sich an uns Monster gewöhnt und gehen ihrer Alltagsbeschäftigung nach: Seegras futtern, an Steinen knabbern, andere Fische verjagen oder kaputte Korallenstücke auf einen Haufen schmeißen. Ja, richtig gelesen! Ich hatte mich immer gewundert, wieso es manchmal so Anhäufungen von kaputten Korallenstücken gab. Dass da auf- und übereinander zig Korallen gewachsen waren und dann verendet sind, während es an anderen Stellen keine Korallen gab, fand ich immer etwas merkwürdig. Jetzt weiß ich es: dieser Fisch räumt auf, er nimmt ein Stück in das Maul und transportiert es zu diesem Haufen. Wieso? DAS allerdings habe ich nicht herausgefunden. Nestbau? Sah nicht unbedingt wie ein Nest aus! Aufräumarbeiten? Keine Ahnung. Wir schnorcheln einmal um die große Insel herum. Begegnen wieder einem großen Barrakuda. Chrischan ist total begeistert. Meine Begeisterung ist nicht ganz so groß, hatte ich mir doch deutlich mehr Fische und auch noch mir unbekannte Arten erwartet. Aber dieses glasklare Wasser mit der Nähe zu den nicht scheuen Wasserbewohnern ist schon einmalig!! Wir knipsen und filmen was das Zeug hält. Die Fotos und Filme, die wir vorher mit unserer Kamera gemacht haben, sind zum Teil besser geworden als das, was wir gesehen haben. Diese Aufnahmen müssen also bei dieser Sicht sensationell werden. Abends also schnell die Fotos gesichtet und…...völlig enttäuschend. Schlechter als alles bisher aufgenommene.

Nachbemerkung Chrischan: Die „Notladung“ der Außenborder-Batterie hat super funktioniert. Ich hatte mir viel zu viele Sorgen gemacht. Einfach an die 48 V unserer Bord-Tesla-Batterie anschließen und das interne Batteriemanagement-System der Außenborder-Batterie macht den Rest. Jetzt wird das alte Anschluss-Kabel noch zu einem ordnungsgemäßen Notfall-Kabel umgebaut. Und dann hoffe ich, dass unser Paket uns auch in Saint Marten über den TO-Stützpunkt dort erreicht. DHL hat gemeldet, dass es ausgeliefert sei, der Stützpunktleiter hat es aber nicht empfangen. Nun - das wird also wieder eine "Baustelle"....

Vor Barrakudas sollte man mehr Respekt haben, als vor Haien.

Papagei-Fische kommen in den verschiedensten Färbungen vor. Hier ein Liebling.

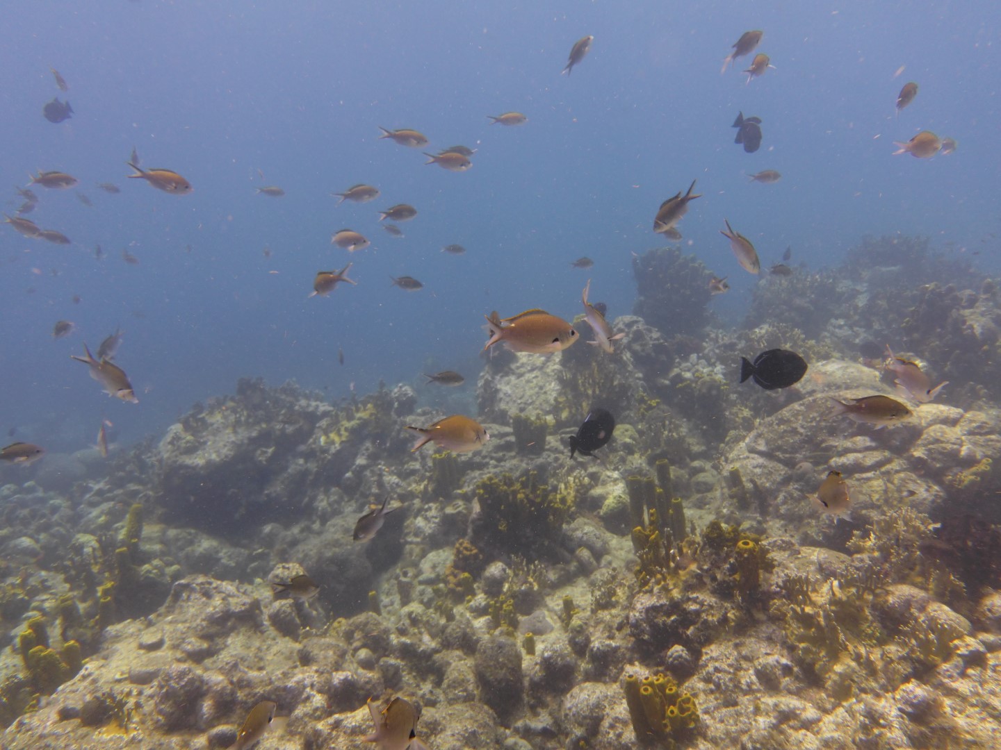
Schwärme sieht man nicht so oft.